View All Listings

Dawley Farm Village | Highline Outlots

5800 E. 26th Street, Sioux Falls, SD 57110
Satellite ViewMap View
Satellite ViewSatellite View

Highline Avenue Outlots for Sale

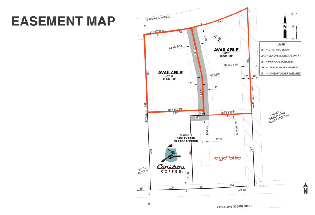
Lot 7 Size
0.62 Acres +/-
Lot 7 Size
26,908 SF +/-
Lot 10 Size
0.54 Acres +/-
Lot 10 Size
23,844 SF +/-
Price / SF
$16.00 / SF
Location Highlights
Prime outlot land within an established 300-acre development, Dawley Farm Village, on the east side of Sioux Falls offering national co-tenancy and sustained year-round traffic. Major economic drivers within the development include Avera Health, Capital Services, Active Generations, and the State of SD One Stop. Neighboring amenities include Casey’s, Plaza Azteca, Neighborhood Dental, Target, Century Theaters, First Dakota National Bank, and more.
Description
  • Zoned: C-2
  • Access point off S. Highline Avenue
  • Existing roadway splits the lots, directing to neighboring Caribou Cofee and Eye-Site
  • Supportive traffic counts with 3,700 VPD along S. Highline Place, and 12,200 VPD along E. 26th Street
  • Neighboring amenities include Casey’s, Plaza Azteca, Neighborhood Dental, Target, Century Theaters, First Dakota National Bank, etc.
  • Supportive demographics: 45,754 daytime population & $80.4K AHHI in a 3-mile radius
  • Dense residential footprint with 3,859 housing units within a 1-mile radius
  • Major infrastructure upgrades are underway:
    • Arrowhead Parkway/Veterans Parkway intersection: 10-lane/9-lane configuration with pedestrian underpasses; $39.2M investment underway through 2027
    • Veterans Parkway Expansion: 6-lane corridor connecting I-29 to I-90 by 2026; $210M investment designed to meet Sioux Falls’ future transportation needs
Usage
Raquel Blount, SIOR
Raquel Blount, SIOR
Vice President of Commercial Real Estate & Broker Associate | 605.728.9092

Contact Us