View All Listings

Hartford Land

Colton Rd & Hwy 38 Hartford, SD 57033
Satellite ViewMap View
Satellite ViewSatellite View

Land for Sale

Price / SF
$6.75 - $8.00 / SF
Total Size
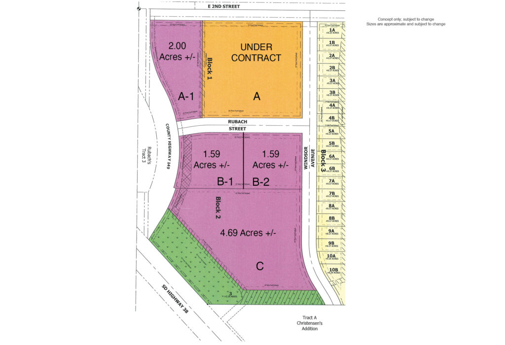
1.59 - 9.87 Acres +/-
Location Highlights
This development land sits in Hartford, South Dakota, just 10 miles west of Sioux Falls. Hartford offers small-town charm and close proximity to city amenities in a balanced blend of community and convenience. Positioned along Highway 38 and near I-90, this site benefits from steady traffic and a growing residential base.
Description
  • Utilities available to site
  • Ingress/egress access along 464th Street/HWY-164
  • Zoned: Community Commercial & Residential
  • Minutes from I-90 (15,534 VPD) and HWY-38 (4,270 VPD)
  • Adjacent to West Central Middle & High School and Central Valley Country Club
  • Supportive demographics with a median household income of $91,231 and 1,071 housing units within a 1-mile radius
  • Hartford is experiencing a housing boom with significant growth in both single-family homes and town homes & apartments
  • This area is positioned for continued growth through the ‘Envision Hartford 2025’ initiative, focused on improving economic development and quality of life
Usage
Raquel Blount, SIOR
Raquel Blount, SIOR
Vice President of Commercial Real Estate & Broker Associate | 605.728.9092
Scott Blount
Scott Blount
Broker Associate | 605.231.1882

Contact Us